Diario El Independiente :: Edici锟絥 Digital
El Independiente Digital

Mundo



Italia: Preparan el uso obligatorio del pase verde para trenes y aviones de larga dista

El certificado, que es gratuito, se obtiene con al menos una dosis de la vacuna contra el coronavirus, con un certificado de recuperaci贸n de la enfermedad o con un test negativo en Covid-19 con no m谩s de 48 horas de antig眉edad, y entrar谩 en vigencia a partir del mi茅rcoles

Leer m谩s →

EEUU complet贸 su salida de Afganist谩n tras 20 a帽os de intervenci贸n militar

"El retiro de esta noche significa tanto el final de la evacuaci贸n del material militar como el fin de casi 20 a帽os de misi贸n iniciada en Afganist谩n poco despu茅s del 11 de septiembre", dijo el general Kenneth McKenzie

Leer m谩s →

La UE quit贸 a EEUU de la lista de pa铆ses autorizados a realizar viajes no esenciales

Estados Unidos, por su parte, mantiene desde marzo de 2020 sus fronteras cerradas a la gran mayor铆a de los viajeros internacionales, independientemente de si se sometieron a testeos o fueron inmunizados contra la Covid-19

Leer m谩s →

Sicilia reinstal贸 el uso obligatorio de barbijo al aire libre

Por el avance de la variante Delta, la isla sure帽a es la 煤nica de las 20 regiones del pa铆s catalogada como "zona amarilla". Lleg贸 a esa calificaci贸n por superar el l铆mite de 10% de ocupaci贸n de las camas de terapia intensiva y registrar m谩s de 50 casos cada 100.000 habitantes

Leer m谩s →

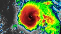
Al menos un muerto en Luisiana por el paso del hurac谩n Ida

A las 4 horas del lunes, Ida avanz贸 con vientos de 153 kil贸metros por hora, menos violentos que cuando toc贸 tierra horas antes del domingo, a unos 60 kil贸metros al sur de Nueva Orleans

Leer m谩s →

Estados Unidos intenta retomar la iniciativa en Afganist谩n con una reuni贸n de canciller

El Gobierno de Joe Biden organiz贸 una videoconferencia con los representantes de Francia, Canad谩, Alemania, Italia, Jap贸n, Gran Breta帽a, Turqu铆a, Catar, la Uni贸n Europea y la OTAN. Sucede un d铆a antes de la retirada definitiva del Ej茅rcito de estadounidense, luego de 20 a帽os

Leer m谩s →

Alemania tiene m谩s de 1000 pacientes en terapia intensiva por Covid

Seg煤n una asociaci贸n de m茅dicos germanos, 485 de estos pacientes deben recurrir a la respiraci贸n artificial, report贸 un despacho de la agencia ANSA

Leer m谩s →

El hurac谩n Ida subi贸 a categor铆a 4 y toc贸 tierra en Luisiana

Seg煤n el Centro Nacional de Huracanes en su 煤ltimo bolet铆n, el Ida producir谩 una "marejada cicl贸nica potencialmente mortal, da帽os potencialmente catastr贸ficos e inundaciones por lluvias"

Leer m谩s →

Al menos seis muertos, incluidos cuatro ni帽os, en un ataque de misil en Kabul

"EEUU llev贸 a cabo un ataque militar en Kabul" intentando hacer blanco en militantes del Estado Isl谩mico, comunic贸 la agencia Reuters citando a dos funcionarios norteamericanos, seg煤n recogi贸 la agencia de noticias rusa Sputnik

Leer m谩s →

ONU: siete millones de personas necesitan ayuda humanitaria por la sequ铆a

La FAO no es la primera agencia de la ONU que est谩 alertando sobre los riesgos de una mayor crisis humanitaria en la regi贸n: la semana pasada, Unicef y la OMS pidieron en conjunto un puente a茅reo a la capital, Kabul, para 'entregar medicamentos y otros suministros que salvan vidas'

Leer m谩s →